Examples of Some Previous Land Transactions

El Monte 25 Townhomes

Our client, a large regional home builder, acquired this one acre site in El Monte to build 25 townhomes

El Monte 52 Townhomes

Our client, a large regional home builder, acquired this 2.12 acre site in El Monte and received entitlements for 52 townhomes.

Artesia 30 Townhomes

Our client, a larger regional home builder, acquired this 1.47 acre site in Artesia and received entitlements for 30 townhomes.

The Old Orchard

This 13 acre in-fill site in Yorba Linda was aquired by our client and entitled for 39 single family homes. 

They then joint ventured the home construction with a large home builder.

Gallery Vistas

Located in the hills of the City of Riverside, this 36 lot single family development

was acquired by our client, entitled and joint ventured with a large home builder.

Anaheim Hills 32 Lots

Located in Anaheim Hills our client joint ventured this 28 acre site with the land owner for the entitlement process including a tentative tract map and environmental impact report.  They received approvals for 32 single family lots.

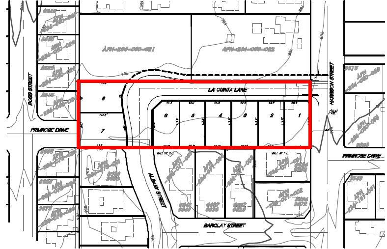
Primrose Cottages

Primrose Cottages was a small, 8-lot subdivision on an in-fill site located in the City of Riverside.  Our client acquired the site, received entitlements and constructed the homes.  Our firm was later retained to market the homes.

La Habra Heights

This 17-lot development located in the hills of La Habra Heights was acquired, entitled and developed by our client.

Havenview Estates

Located in a gate-guarded community in the Alta Loma area of the City of Rancho Cucamonga,

our client acquied nine finshed lots for simi-custom homes.

Fullerton 5 Units

This award-winning five unit apartment complex was acquired by our client as vacant land. 

They constructed the project and retained it in their apartment portfolio.

Fullerton 6 Units

Located in Downtown Fullerton, this six unit apartment complex was acquired as vacant land. 

Our client entitled and constructed the project and retained it in their apartment portfolio.

Yorba Linda 1.5 Acres

Our client, a Christmas tree farm in Yorba Linda, acquired this 1.5+ site from the adjacent church to fold into their existing operations.

Yorba Linda 1 Acre

Our client, a Christmas tree farm in Yorba Linda, acquired this

one acre site from an adjacent landownerto fold into their existing operations.

Print | Sitemap
© Keystone Properties, Inc.